Improving crop profitability through disease management
Land-grant university research and Extension programs help producers manage costly plant diseases through early detection, risk assessment and science-based tools. By integrating applied research, diagnostics and education, growers protect yields, reduce unnecessary pesticide use, improve return on investment and strengthen long-term agricultural resilience across variable production systems.
Here are a few examples of that work:
- South Dakota State Extension plant pathology programming helped South Dakota producers respond effectively to widespread windblown disease outbreaks in wheat and corn. Through statewide field days, workshops, trainings, webinars and media outreach, more than 2,000 producers and consultants gained timely knowledge on disease risk, scouting, thresholds and fungicide return on investment. This education improved disease identification, guided judicious fungicide use and supported informed, cost-effective management decisions that protected yields during multiple disease epidemics.
SDSU Extension; Purdue Agriculture Experiment Station. Supported by Smith-Lever (3b&c) capacity funds. See full statement.
- Colorado researchers and Extension specialists helped chile pepper growers reduce losses from alfalfa mosaic virus by identifying resistant pepper varieties and effective, non-chemical management strategies. On-farm research showed how planting timing and field placement relative to alfalfa influence disease risk, enabling growers to improve yields, increase income and avoid ineffective insecticide applications. These science-based recommendations strengthen the resilience of Colorado’s chile pepper industry while reducing production costs and environmental impacts.
Colorado Agricultural Experiment Station. Supported by USDA competitive funds; Hatch capacity funds. See full statement.
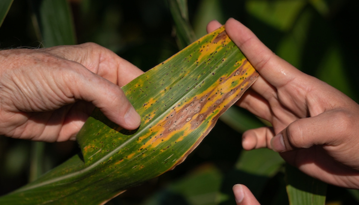
- Indiana’s Field Crop Pathology Research and Extension Program at Purdue University has been central to monitoring, detecting and managing tar spot of corn, helping producers respond to one of the most damaging corn diseases in the U.S. Through multistate collaboration, sentinel plots, free diagnostics and extensive outreach, the program delivered timely risk assessments and management guidance statewide. The online resources have been downloaded over 485,459 times. These efforts have informed effective fungicide timing, reduced yield losses during severe epidemics and equipped tens of thousands of growers and advisors with tools to protect corn productivity.
Purdue Extension. Supported by Smith-Lever (3b&c) capacity funds. See full statement.
- University of Georgia researchers developed a rapid, field-deployable diagnostic test that enables turfgrass professionals to detect dollar spot accurately in just over one hour. Early, on-site identification allows managers to treat only when disease is confirmed, reducing reliance on routine preventive fungicide applications. By avoiding unnecessary sprays—often costing up to $1,500 per application—this innovation lowers management costs, improves disease control precision and supports environmentally responsible stewardship across Georgia’s high-value turfgrass systems.
University of Georgia Agricultural Experiment Station. Supported by Hatch capacity funds; Smith-Lever (3b&c) capacity funds. See full statement.
- Oklahoma State University Extension confirmed American elderberry as a new host of bacterial leaf scorch, expanding understanding of disease reservoirs that threaten high-value crops. Early identification of new hosts enables growers to improve scouting in riparian areas, remove potential sources of infection and protect nearby pecan orchards. On average, Oklahoma produces an average of 15 million pounds of pecans. This proactive detection strengthens disease prevention efforts, helping safeguard Oklahoma’s pecan industry and reducing the risk of pathogen spread from native landscape plants.
Oklahoma Cooperative Extension Service. Supported by Smith-Lever (3b&c) capacity funds; state appropriations. See full statement.
Photo courtesy of Purdue Extension.
